
The Honorable Councilmember Jim Madaffer, CD7, and The City of San Diego Environmental Services, in partnership with the Fox Canyon Neighborhood Association announce the Fox Canyon Neighborhood Packard Clean Up.
LOCATION:
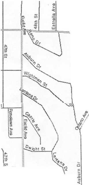
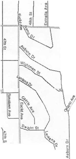
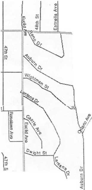
The Entire Fox Canyon Service Area
(Only the East of Euclid Avenue from Dwight to University; Only the South of University Avenue to Estrella; Estrella Avenue (3803 to 3857), Wightman Street (4750 to 4871), Dwight Street (4759 to 4792), All of Castle and Ontario Avenues, Lantana, Auburn, and Reno Drives.)
Hazardous, poison, radioactive, flammable and explosive materials; Car tires and batteries, motor oils, plaster, drywall, construction rabble, concrete chunks and regular household trash.
DO NOT USE your regular trash containers to put your discards during this clean up, please.
WELCOME ITEMS: Please, place on the curb all Indoor and outdoor furniture, beds, small appliances, stoves, refrigerators (remove doors); carpeting, cabinetry, tree clippings and discarded or remodeling LUMBER, cut and bundled in six feet lengths; metal of all kinds, including LAWNMOWERS (oil/gas drained out) and lawn trimmings, in clear plastic bags.
Place your discarded items on the curb, LATE the night before or VERY EARLY the morning of the pick up. City crews will start at 7:30 AM, until they finish. Once a truck has gone by a street it will NOT BE BACK. Please, cooperate to see your items on the curb before the trucks start.
PLEASE TELL
All your neighbors and friends, let's help each other and VOLUNTEER to have a very successful clean up!
Volunteers are needed to deliver clean up flyers, please help!
For more information, please, call Jose at (619) 282-2788 and/or Ellen at (619) 236-6677.
(The day of the event LUNCH will be served to the City Crews and volunteers.)
Email us
FoxCanyonN@aol.com